한라산 1700 고지에 흰괴불나무가 살고 있다.
꽃 한송이라도 피었으면 하는 간절함으로 올랐다.
강풍 속에서 기대를 초월한 여러 송이에 환호했다.

2021년 6월16일 한라산을 넘어 성판악으로 내려올 때
꽃봉오리를 보았는데 검색해 보니 흰괴불나무였다.
그때부터 흰괴불나무 꽃을 보고 싶어 했다.
그러나 2022년 봄 낙상사고로 꿈은 멀어졌다.
함께 갔던 지인이 그 이듬해 6월 20일에 갔어도 꽃봉오리 상태였단다.
한라산 등정을 목표로 처절한 재활 끝에 지난봄에 한라산에 올랐다.
제주살이가 올해까지이니 이번에 꼭 꽃을 보아야 한다.
그런데 몽고 여행이 겹쳐 한라산에서 흰괴불나무 꽃을 볼 기회를 놓치게 되었다.
그렇다고 여유있게 수원가는 걸 연기할 수도 없다.
몽고여행을 위하여 6월20일 수원에 간다.
그렇다면 마지막 기회는 6월 19일이다.
그런데 예년의 6월 20일에도 꽃봉오리 상태였다는 것이다.
그러나 가지 않으면 아쉬움이 남는 법이다.
꽃을 못 보더라도 내가 꽃을 보려고 최선을 다했으니 후회는 없을 것이다.
올해는 예년보다 꽃이 피는 시기도 빠른 것 같다.
어쩌면 한 송이라도 피어있지 않을까 하는 기대로
전날 밤 11:40분 한라산 성판악 코스 예약 신청을 했다.
그리고 6월 19일 새벽 5시에 일어나 서귀포에서 출발하는 첫차를 탔다.
성판악에 도착하여 등반을 시작했다.
1700m까지 지루한 등산길을 꽃 한 송이의 간절함으로 걸었다.
한라산에서 거꾸러진 낙상사고처럼 거꾸리개고사리를 보면서 힘을 냈다.
어쩌면 꽃을 보지 못할 수도 있으니
메고 온 삼각대를 쓸 기회를 만들려고
고사리에 초점도 맞추면서 지루함을 달랬다.
진달래대피소에서 왕괴불나무 열매의 몇 개가 빨갛게 된 것을 보고
흰괴불나무 꽃을 보지 못하더라도 위안 꺼리라면서 흐뭇하게 바라보았다.
드디어 1700m에서 꽃 한 송이를 보았다.
한 등산객이 가지를 잡아주어 삼각대를 받치고 꽃을 찍었다.
앗! 그런데 그것은 알고 보니 홍괴불나무였다.
어쩐지 잎이 넓더라니 ㅠㅠ
가만, 그 옆에 진짜 흰괴불나무 꽃봉오리가 보인다.
자세히 눈을 부릅뜨니 꽃도 보인다.
가슴이 콩당콩당거리면서 잘 올라왔다는 안도감이다.
흰괴불나무 꽃과 한참을 놀았다.
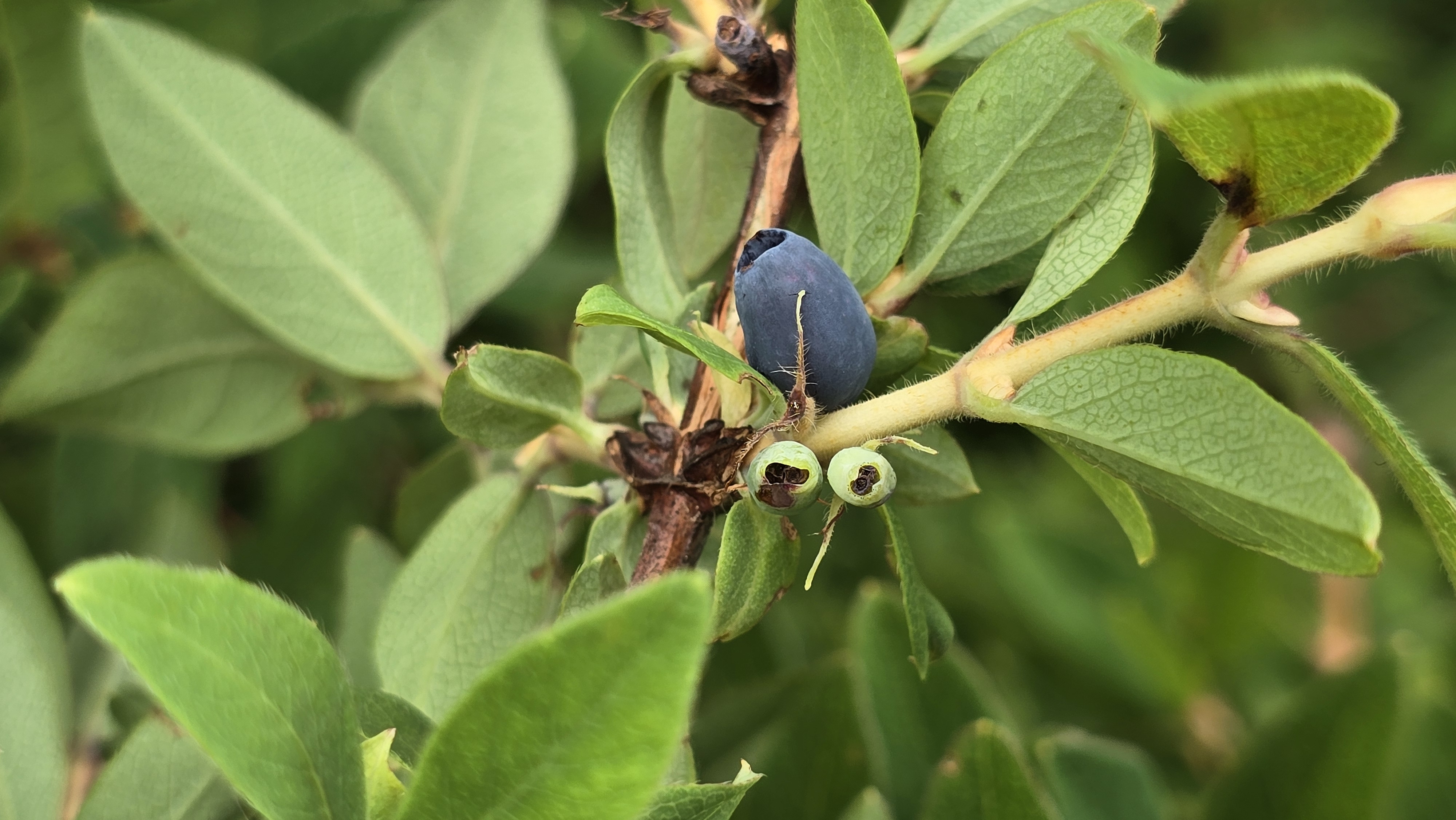
그리고 댕댕이나무 열매를 보려고 더 올라갔다.
그런데 흰괴불나무 꽃들이 만발한 것이 아닌가?
아~ 진작 올라올 걸
강풍은 흰괴불나무 꽃을 춤추게 한다.
갓 피어난 싱싱함으로 하늘거리는 모습이 더없이 아름답다.
강풍 속에서 iso를 높여 흰괴불나무 꽃을 찍고
이어서 1800 고지의 댕댕이나무 열매도 찍었다.
시간은 벌써 오후 2시 40분에 가까웠다.
정상 등정 시간은 지냈지만, 그래도 가는데 까지는 가보자
한라산을 향하여 발걸음을 내디뎠다.
그러나 국립공원 직원이 마지막으로 내려오고 있다.
한라산 정상을 한 번 쳐다보고
국공 직원과 함께 하산하면서 한라산 생태의 중요성을 공감했다.
그리고 삼다수의 전국적 판매가 제주의 물부족을 야기할 것 같아 안타까움을 더했다.
(2024-06-19)













































'♪ 제주살이 > 한라산' 카테고리의 다른 글
| [영실 기암] 그 이름 신비하다 (21) | 2024.06.23 |
|---|---|
| [한라산 산철쭉 탐사] 어리목~남벽~영실 - 아! 옛날이여~ (29) | 2024.06.04 |
| [영실, 어리목 탐사] 야생화 하늘 버전 - 오늘만 같아라 (33) | 2024.06.02 |
| [어리목 코스] 나도제비란을 찾아서 - 한라산 야생화 풍경을 만끽하다 (39) | 2024.06.01 |
| 한라산 1500m 고지 - 왕괴불나무 꽃을 보려고 올랐다 (33) | 2024.05.25 |