1송이 꽃의 갈증을 풀려고
한라산 1500m 고지를 올라
여러 송이 꽃을 보다

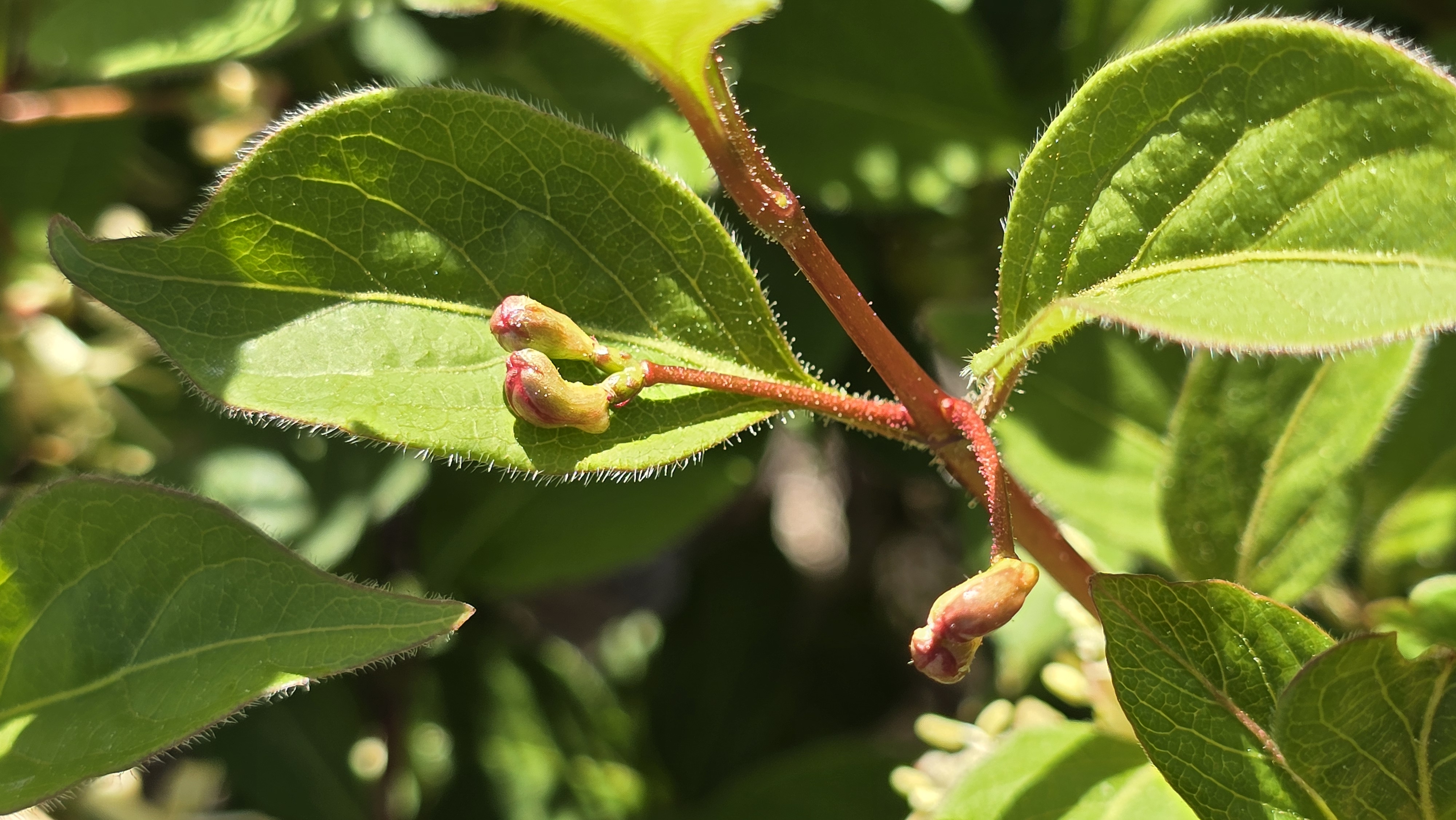
1주일 전 왕괴불나무 꽃 1송이를 본 후
꽃의 갈증이 심했다.
여러 송이의 꽃을 보려고 7일만에 다시 올랐다.
왕괴불나무는 한라산 진달래대피소까지 올라야 볼 수 있다.
이른 아침에 서귀포에서 성판악 가는 첫 버스를 타야 7시부터 산행이 가능하다.
진달래대피소에 도착하니 왕괴불나무 꽃은 벌써 절정이 지났다.
1주일이 지나니 진달래도 모두 꽃잎이 떨어졌다.
진달래 붉은 꽃을 배경으로 왕괴불나무 꽃을 보려는 기회는 사라졌다.
바람까지 살랑살랑 애를 태운다.
설앵초를 보려고 조금 더 올라갔다.
설앵초 몇송이가 보인다.
줄기가 빨간 제주양지꽃도 꽃잎을 활짝 열었다.
이렇게 1500m고지의 야생화들을 보니 올라온 보람이 있다.
다른 사람들을 부지런히 정상을 향하지만
진달래대피소 주변에서 노는 재미가 더 좋다.
역시 발품을 팔아야 보고싶은 꽃을 본다.
꽃을 보려고 운동을 하고 산을 오른다.
꽃이 주는 선물은 체력이다.
(2024-05-03)




































'♪ 제주살이 > 한라산' 카테고리의 다른 글
| [영실, 어리목 탐사] 야생화 하늘 버전 - 오늘만 같아라 (33) | 2024.06.02 |
|---|---|
| [어리목 코스] 나도제비란을 찾아서 - 한라산 야생화 풍경을 만끽하다 (39) | 2024.06.01 |
| 한라산 1800m 고지 - 댕댕이나무를 보러 또 한번 오르다 (27) | 2024.05.16 |
| [한라산 14] 성판악~관음사 - 댕댕이나무 꽃을 보고 한라산을 넘다 (28) | 2024.05.11 |
| [영실 탐사] 가을 열매를 찾아서 - 시원한 광각의 눈, 망원으로도 바꿔보고 (0) | 2021.10.28 |